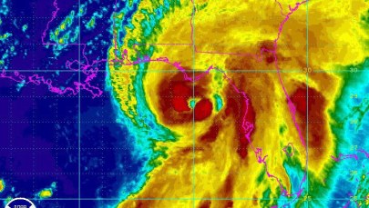
Huragan Maria, jeden z najpotężniejszych, jakie kiedykolwiek dotarły do Portoryko, uderzył w środę rano czasu miejscowego w tę wyspę, zrywając linie energetyczne, dachy z domów i wyrywając drzwi z framugami. W rezultacie całe Portoryko zostało pozbawione prądu. Taką informację przekazał Carlos Mercader, rzecznik gubernatora Portoryko.
Huragan niszczy wszystko, co znajduje się na jego drodze, przewraca samochody, wyrywa drzewa. Władze Portoryko wystąpiły już do prezydenta USA Donalda Trumpa, by ten uznał wyspę za "strefę katastrofy".
Totalne spustoszenie - takimi słowami Mercader opisał obecną sytuację w rozmowie z telewizją CNN. Jeśli chodzi o infrastrukturę, Portoryko już nigdy nie będzie takie samo. To coś o skali historycznej - dodał.
Jak na razie, nie ma doniesień o ofiarach śmiertelnych i rannych. Część mieszkańców wyspy schroniła się w 500 przygotowanych dla nich przez władze schronach.


