Co najmniej 100 osób mogło zginąć w następstwie uderzenia tajfunu Haiyan w Filipiny. Taką informację podał przedstawiciel władz w Manili, cytowany przez Reutera.
Według wstępnych raportów filipińskiego lotnictwa w położonym w centrum kraju mieście Tacloban widziano ciała ofiar leżące na ulicach.
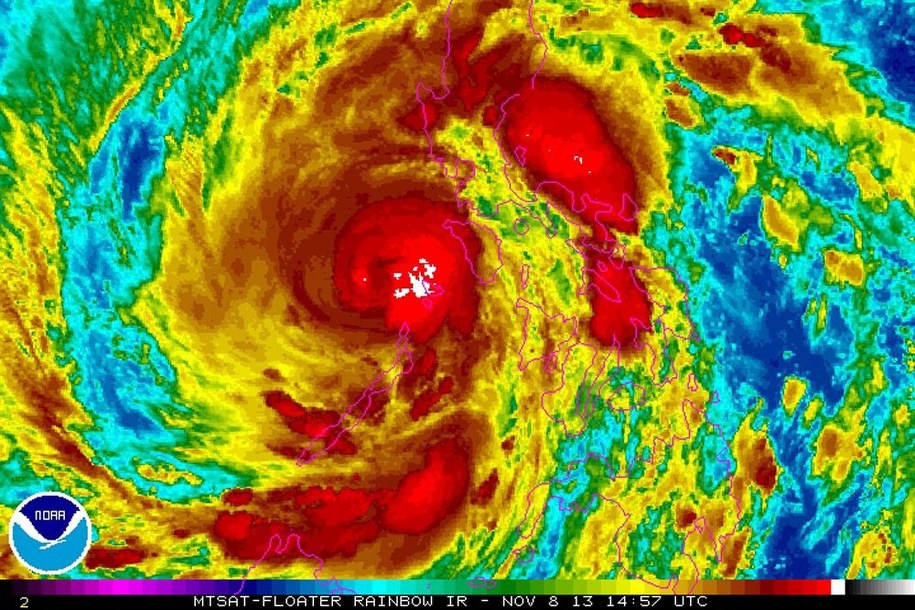
Haiyan to najpotężniejszy tajfun, jaki powstał w tym roku na świecie. Prędkość towarzyszących mu wiatrów dochodzi do 320 kilometrów na godzinę. Cyklon z łatwością burzy domy, wywołuje potężne fale, osuwiska i powodzie. Wiele wysp pozbawił prądu i zerwał linie telekomunikacyjne.
Po przejściu nad środkowymi Filipinami tajfun przemieszcza się na północny zachód, nad Morze Południowochińskie. W niedzielę ma przejść nad Wietnamem i Laosem.
(abs)


